Die Mühle (N47 43.399 E7 09.617) bestand schon vor dem Dreißigjährigen Krieg (1618-1648). Im 1. Weltkrieg wurde sie zerstört, danach wieder aufgebaut. 1925 wurde sie erneut durch einen Brand beschädigt und schließlich 1930 stillgelegt.

Hier floss der Kleebach in die Mühle:

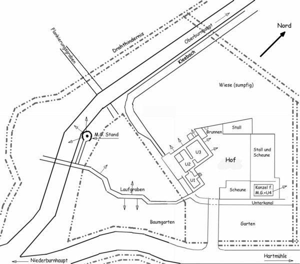
Während des 1. Weltkriegs wurde das Anwesen zur Verteidigung umgebaut. Im Erdgeschoss des Wohnhauses befanden sich 3 Mannschaftsräume sowie ein Beobachtungsstand. Im rechten Teil der Scheune war ein weiterer Unterstand sowie eine Kanzel für ein Maschinengewehr installiert, eine zweite Mg-Stellung befand sich hinter dem Wohngebäude an der Straße nach Oberburnhaupt. Diese Straße existiert heute nicht mehr. Sie verlief damals parallel zum Kleebach, welcher die Mühle einst speiste. Ein doppeltes Drahthindernis umgab das gesamte Anwesen.

Beim MG Stand nahe der ehemaligen Straße nach Oberburnhaupt.:

Bei Oberburnhaupt fand im Januar 1915 ein Gefecht statt, bei dem der Kompanieführer der 9./LIR 110 fiel. Siehe dazu auch Hauptmann Josef Mallebrein und das Gefecht bei Oberburnhaupt im Januar 1916.